Oferty działek na sprzedaż

grunty rolne, rekreacyjne, pod zabudowę jedno i wielorodzinną, usługowo - handlowe, magazynowo - produkcyjne
Darmowe ogłoszenia działek
Baner
Większa ilość filtrówRozwiń więcej filtrów
Działka pod budownictwo jednorodzinne  usługi - Ruciane-Nida  -
warmińsko-mazurskie Zdjęcie nr 1
Działka pod budownictwo jednorodzinne  usługi - Ruciane-Nida  -
warmińsko-mazurskie Zdjęcie nr 2



Co to jest identyfikator działki ewidencyjnej?



Działka pod budownictwo jednorodzinne usługi - Ruciane-Nida

Ruciane-Nida, gm. Ruciane-Nida, pow. piski, warmińsko-mazurskie
Powierzchnia terenu: 10000 m²
750 000 zł
75,00 zł/m²
info Raport i analiza działki - poproś sprzedającego o identyfikator działki

Kontakt:
Wyślij pytanie
GÓRALCZYK NIERUCHOMOŚCI
Biuro nieruchomości
Dane działki
Powierzchnia:
10000 m²
Rodzaj prawa:
własność
Typ działki - przeznaczenie:
  • pod zabudowę mieszkaniową jednorodzinną
Ogrodzenie:
nie
Sprawdź stawki podatku od nieruchomości (SP-1 baza danych i opracowania)
Kup raport o działce
Lokalizacja
Województwo:
warmińsko-mazurskie
Powiat:
piski
Gmina:
Ruciane-Nida
Miejscowość:

Dowiedz się wiecej o miejscowości
Opis
Jeśli szukasz dużego terenu pod inwestycję to zapraszamy do zapoznania się z tą ofertą !!!
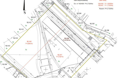
Na sprzedaż działka w trakcie wydzielania z działki o numerze geodezyjnym 192/408 położona w miejscowości Ruciane - Nida, powiecie piskim, województwie Warmińsko - Mazurskim.
Powierzchnia: 1 ha.
Wymiary działki: ok 63 m x 170 m.
Kształt działki: nieregularny, zbliżony do prostokąta.
Media: w pobliżu działki
Przeznaczenie: działka objęta jest Miejscowym Planem Zagospodarowania Przestrzennego jako teren usług innych (symbol 17 UI): realizacja obiektów usługowych w zakresie funkcji sportowo - rekreacyjnej, hotelowo - pensjonatowej i lecznico - sanatoryjnej.
W Urzędzie Gminy trwa proces zmiany MPZP: docelowo teren ten ma mieć przeznaczenie: budownictwo jednorodzinne / usługi ( np. park handlowy).
Sąsiedztwo: osiedle domów jednorodzinnych.
Dojazd do działki od skrzyżowania ulic Jana Krajeckiego i Gałczyńskiego.
Jeśli zainteresowała Cię ta oferta to zapraszamy do kontaktu telefonicznego i prezentacji.
Kontakt:
Rafał Matelak: 512779211
Magdalena Matelak: 509935887
Potrzebujesz dodatkowego finansowania kupowanej nieruchomości? W ramach współpracy z naszym biurem bezpłatnie doradzimy wybór najlepszej oferty kredytowej. Szczegóły u naszych pracowników.
Treść niniejszego ogłoszenia nie stanowi oferty handlowej w rozumieniu Kodeksu Cywilnego.

Kontakt:
tel. zadzwoń
Wyślij pytanie
GÓRALCZYK NIERUCHOMOŚCI
Biuro nieruchomości


Data dodania ogłoszenia: 2025-06-26




Podobne oferty


Zobacz artykuły


Podatek katastralny w Polsce - fakty, mity i stan prawny na początku 2026 roku Podatek katastralny w Polsce - fakty, mity i stan prawny na początku 2026 roku
Temat podatku katastralnego powraca w polskiej debacie publicznej z regularnością fali przypływu. Choć dla wielu właścicieli nieruchomości samo to pojęcie budzi niepokój, warto przyjrzeć się mu chłodnym okiem eksperta. Na początku 2026 roku sytuacja prawna w Polsce pozostaje klarowna, choć otoczenie polityczne i napływające propozycje zmian sugerują, że stoimy przed ewentualną ewolucją systemu tego typu danin.
Sprawdź
Bezpłatny dostęp do rejestru cen nieruchomości – nowe prawo, stare problemy Bezpłatny dostęp do rejestru cen nieruchomości – nowe prawo, stare problemy
W dniu 14 października 2025 roku podczas posiedzenia senackiej Komisji Infrastruktury rozpatrzono projekt ustawy zmieniającej Prawo geodezyjne i kartograficzne. Nowelizacja zakłada zniesienie opłat za dostęp do danych zawartych w Rejestrze Cen Nieruchomości (RCN). 
Sprawdź
Jak wycenić działkę? Jak wycenić działkę?
Wycena działki może okazać się przydatna zarówno w procesie kupna jaki i sprzedaży gruntu. Na wstępie warto jednak zaznaczyć, że zgodnie z polskim prawem formalnej wyceny w formie operatu szacunkowego może dokonać wyłącznie rzeczoznawca majątkowy. Dla własnych potrzeb można jednak spróbować oszacować przybliżoną wartość swojej działki przy pomocy dostępnych powszechnie narzędzi i informacji.
Sprawdź
C-Profes - wyceny


Poznań przeciera szlaki: pierwszy plan ogólny wśród dużych miast w Polsce uchwalony Poznań przeciera szlaki: pierwszy plan ogólny wśród dużych miast w Polsce uchwalony
Podczas gdy większość gmin w Polsce dopiero budzi się z legislacyjnego letargu, Poznań wszedł do awangardy wprowadzania reformy planowania przestrzennego w Polsce. Stolica Wielkopolski jako pierwsze duże miasto w Polsce uchwaliła Plan Ogólny – dokument, który zastępuje dotychczasowe Studium i staje się nową "konstytucją przestrzenną". Dlaczego to wydarzenie jest tak ważne dla każdego, kto przegląda oferty działek? Jak wpłynie to na ceny gruntów, procedurę Warunków Zabudowy (WZ) i bezpieczeństwo inwestycyjne?
Sprawdź
Działki w Polsce Wschodniej: Ryzyko przy granicy czy inwestycyjna okazja dekady - analiza rynku lokalnego Działki w Polsce Wschodniej: Ryzyko przy granicy czy inwestycyjna okazja dekady - analiza rynku lokalnego
Rynek gruntów w Polsce Wschodniej stanowi obecnie jeden z najbardziej złożonych i fascynujących paradoksów w krajowym sektorze nieruchomości. Z jednej strony, region ten jest postrzegany przez pryzmat podwyższonego ryzyka, wynikającego z bezpośredniej bliskości wojny na Ukrainie oraz incydentów na granicy z Białorusią. Z drugiej jednak, staje się on areną bezprecedensowych, wielomiliardowych inwestycji publicznych i prywatnych, które mają potencjał, by fundamentalnie odmienić jego gospodarcze oblicze. Ta dychotomia tworzy skomplikowany krajobraz inwestycyjny, często spowity mgłą medialnego szumu i emocjonalnych ocen.
Sprawdź
Jak odbywa się nabywanie gruntów i działek pod CPK? Jak odbywa się nabywanie gruntów i działek pod CPK?
Jak przebiega proces nabywania gruntów pod budowę Centralnego Portu Komunikacyjnego? Artykuł wyjaśnia, na czym polega tzw. „specustawa CPK”, jakie są zasady Programu Dobrowolnych Nabyć, kiedy stosuje się wywłaszczenia oraz jak wygląda aktualny stan pozyskiwania terenów. To kompleksowe omówienie procedur, które stoją za jedną z największych inwestycji infrastrukturalnych w Polsce.
Sprawdź

Browwar pion



CDWEB