


Co zyskujesz z raportem o działce z najlepszedzialki.pl
Sprawdź stawki podatku od nieruchomości (SP-1 baza danych i opracowania)
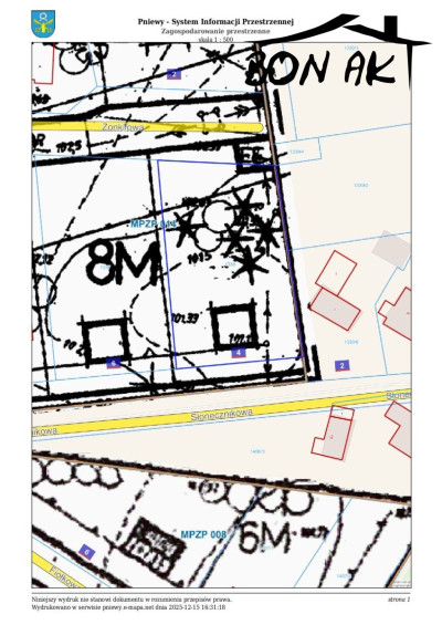
Informacje o zabudowaniach
Lokalizacja
Dowiedz się wiecej o miejscowości
Opis
Kontakt:
Działka pod magazyn – Warunki zabudowy i kluczowe informacje
Plany ogólne od 1 lipca 2026 roku – nadchodzące zmiany w planowaniu przestrzennym.
Działki w Polsce Wschodniej: Ryzyko przy granicy czy inwestycyjna okazja dekady - analiza rynku lokalnego
Rosnące ceny energii a rynek nieruchomości — czy budynki energooszczędne sprzedają się szybciej?
Rynek nieruchomości w Polsce zmienia się dynamicznie, a jednym z najważniejszych czynników kształtujących decyzje kupujących są obecnie rosnące koszty energii. Wysokość rachunków za ogrzewanie i prąd zaczyna wpływać zarówno na wartość nieruchomości, jak i na czas potrzebny do jej sprzedaży. Kupujący coraz częściej zwracają uwagę na to, jak budynek został wykonany, jakie ma instalacje oraz jakie generuje koszty eksploatacji. W artykule analizujemy, jak wzrost cen energii oddziałuje na rynek, oraz czy domy o niższym zapotrzebowaniu na energię rzeczywiście sprzedają się szybciej niż pozostałe.
Co to jest księga wieczysta i jak ją sprawdzać?
Plany ogólne od 1 lipca 2026 roku – nadchodzące zmiany w planowaniu przestrzennym.