Udział w wysokości 12 w prawie własności nieruchomości położonej w Osieku oraz udział w wysokości 16 w prawie własności nieruchomości gruntowej niezabudowanej położonej w Osieku - Osiek
Osiek, gm. Osiek, pow. oświęcimski, małopolskie
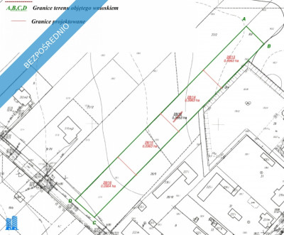
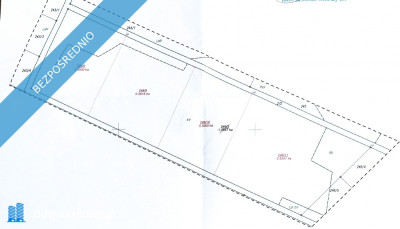
Powierzchnia terenu: 2753 m²
Cena: 195 400 zł
70,98 zł/m²
odwlasciciela.pl
Biuro nieruchomości